NT nuoma ir pardavimai Šiaulių apskrytije

Mobilusis
+37065780667

+37067145995

dirbame
Pir-Pen: 08.25 -17.00
el.paštas
sauliausbustas@gmail.com
Mus rasite
Dvaro g. 64-101 (iš kiemo pusės), Šiauliai

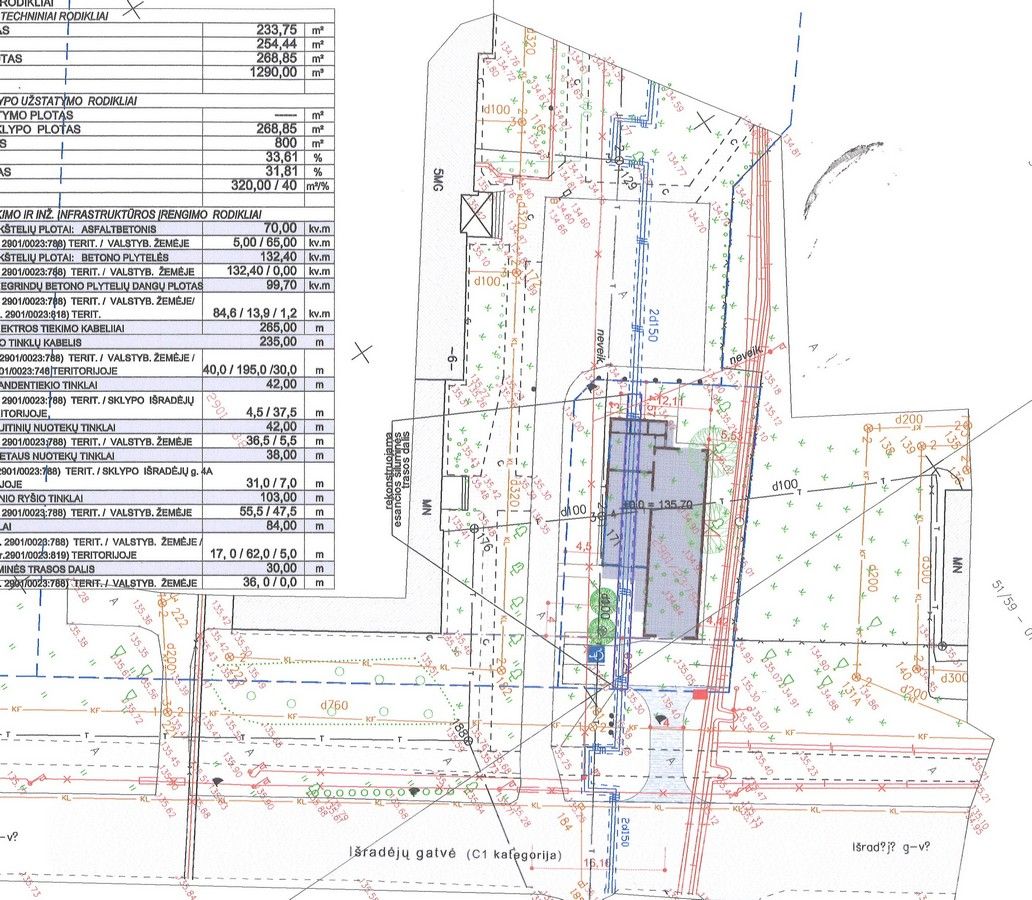
Šiauliai, Išradėjų g. 4 sklypo pardavimas


Objekto tipas:  Sklypas

Plotas : 8 a

Paskirtis:  
komercinė

Kaina: 50000 Eur


Parduodamas strateginėje vietoje esantis 8 arų sklypas Išradėjų g. 4. Sklypo paskirtis – kita (komercinės paskirties objektų teritorija). Sklypas randasi šalia Salduvės viešbučio priešais Šiaulių apželdinimą, šalia sklypo eina visos miesto komunikacijos: vanduo, kanalizacija, dujos, elektra, lietaus kanalizacija, šiluminiai. Sklypas parduodamas su projektu prekybos pastatui su sandėliu statybai. 2013 m. yra išduotas leidimas statyti vieno aukšto 233,75 kv. m. prekybos pastatą su sandėliu, energinio naudingumo klasė C, gauti visi leidimai dėl komunikacijų pajungimo. Į sklypą numatytas įvažiavimas iš Išradėjų gatvės, numatytos 4-ios automobilių stovėjimo vietos, 60 kv. m. prekybos salė, 140 kv. m. sandėlis parduodamai įrangai, administracinės patalpos, kitos pagalbinės patalpos. Labai gera vieta autoserviso statybai, geras susisiekimas. Kaina 50000 Eur. Daugiau informacijos tel. 867145995.