NT nuoma ir pardavimai Šiaulių apskrytije

Mobilusis
+37065780667

+37067145995

dirbame
Pir-Pen: 08:00 -15:00
el.paštas
sauliausbustas@gmail.com
Mus rasite
Vilniaus g. 118, Šiauliai

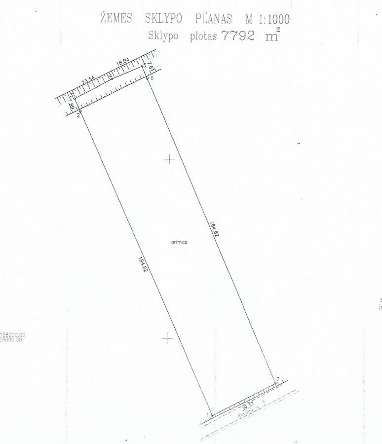
Klaipėdos r. sav., Drevernos k., Kuršių g., žemės ūkio, kitos paskirties sklypas 


Objekto tipas:  Sklypas

Plotas : 38 a

Paskirtis:  
Žemės ūkio, kita

Kaina:  24000 Eur


Parduodamas labai geroje vietoje 38,00 a žemės sklypas Drevernos kaime. Sklypas yra žemės ūkio paskirties, per sklypą eina 10 kW elektros linija, netoli transformatorinė, todėl puikiai tiktų saulės parkui įrengti. Labai gera ir rami vieta, šalia elektra, kanalizacija, geras privažiavimas. Sklypas randasi šalia kelio, atstumas iki marių 1 km, iki Drevernos upelio 1 km, iki Svencelės 2 km, todėl viskas šalia. Sklypas puikiai tiktų poilsiavietės statybai, aplinkui gamta, geras privažiavimas. Netoli elektros transformatorinė, todėl elektros pajungimas nebus brangus. Sklype atlikti kadastriniai matavimai. Netoli parduodami dar du sklypai: 56 a žemės sklypas, kaina 25000 Eur ir 77,92 a žemės sklypas, kaina 35000 Eur. Daugiau informacijos tel. Nr. +37067145995.

Daugiau skelbimų ir nuotraukų galite rasti paspaudę šią brokerio nuorodą: https://www.realu.lt/brokeriai/saulius-sendzikas